

Chakravati Toofan: बांग्लादेश और म्यांमार के तट से टकराया तूफ़ान(IANS)
Chakravati Toofan
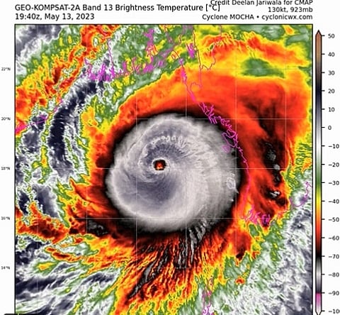
न्यूज़ग्राम हिंदी: कैटेगरी पांच स्तर का भीषण चक्रवाती तूफान(Chakravati Toofan) मोचा रविवार को बंगलादेश और म्यांमार के तटों से टकराया जिससे भारी बारिश हुई और 195 किलोमीटर प्रति घंटे तक की रफ्तार से हवाएं चलीं। ढाका ट्रिब्यून के अनुसार, बांग्लादेश मौसम विज्ञान विभाग के निदेशक मोहम्मद अजीजुर रहमान ने कहा है कि शाम तक चक्रवात के कमजोर पड़ने की संभावना है।
सरकार ने रविवार के लिए बहुत भारी वर्षा के पूवार्नुमान से जुड़ी एक भूस्खलन की आधिकारिक चेतावनी भी जारी की।
चक्रवात के कारण दो फ्लोटिंग एलएनजी टर्मिनलों से गैस की आपूर्ति निलंबित कर दी गई थी। अधिकारियों ने मोचा के कारण सभी शैक्षिक बोडरें के तहत सोमवार की माध्यमिक विद्यालय प्रमाणपत्र या एसएससी परीक्षाओं को निलंबित कर दिया है।
अवामी लीग के महासचिव ओबैदुल कादर ने कहा कि बांग्लादेश की प्रधानमंत्री शेख हसीना खुद स्थिति की निगरानी कर रही हैं और चक्रवात से निपटने के निर्देश दे रही हैं।
म्यांमार के सितवे क्षेत्र में बिजली और वाई-फाई कनेक्शन बाधित हो गए। बीबीसी की रिपोर्ट के अनुसार, सितवे में बचाव दल ने कहा कि उन्हें बाढ़ में फंसे लोगों के संकटकालीन कॉल आ रहे हैं।
--आईएएनएस/VS